• Accueil
  • Trouver un professionnel agréé
  • Nos évènements
  • Nos Formations
  • Nos partenaires
  • Assistance juridique
  • Bourse de l'emploi
Fnaim-
ADHÉRER À LA FNAIM 44 ACCÈS ADHÉRENT
  1. Accueil
  2. Vente

Trouver le bien idéal

Trier par

  • Voir le bien

    Maison 6 pièces 140m²

    Ste Luce Sur Loire - 44980
    409 500 €  
    Sainte Luce sur Loire - Centre Ville, au calme, maison en bon état intérieur distribuée de la manière suivante. Au rdc entrée, salon-salle à...
    Proposé par POULPIQUET IMMOBILIER
  • Voir le bien

    Appartement 3 pièces 57m²

    Nantes Centre - 44000
    220 064 €  
    NANTES - au coeur de Toutes Aides, T3 situé en bout d'impasse, au calme. Appartement de 57 m2 situé au 4o étage d'une copropriété années 60 . Le...
    Proposé par POULPIQUET IMMOBILIER
  • Voir le bien

    Appartement 3 pièces 68m²

    Nantes Est - 44300
    273 520 €  
    Au coeur de l'éco quartier de la route de Sainte Luce, au sein d'une copropriété horizontale, appartement en duplex de 2 chambres fonctionnant...
    Proposé par POULPIQUET IMMOBILIER
  • Voir le bien

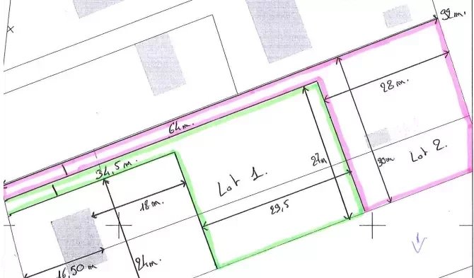
    Terrain 1078m²

    Donges - 44480
    88 400 €  
    Terrain Donges Lot 2 terrain constructible de 1078 m² non viabilisé Façade et profondeur d'environ 30m. Zonage UBa3, emprise au sol maximum de 60%...
    Proposé par Les Comptoirs de l'Immo
  • Voir le bien

    Appartement 1 pièce 32m²

    Nantes Centre - 44000
    137 500 €  
    Bâtiment conforme aux normes PMR. Appartement au 2ème niveau d'un bâtiment de 3 étages à 800 mètres du rond point de Rennes et dans une rue calme...
    Proposé par POULPIQUET IMMOBILIER
  • Voir le bien

    Appartement 3 pièces 48m²

    Nantes Centre - 44000
    170 560 €  
    Entre Toutes Aides et Chalâtres, proche de la gare, charmant appartement de type 2 localisé au 2ème étage d'une copropriété ancienne de 1906...
    Proposé par POULPIQUET IMMOBILIER
  • Voir le bien

    Appartement 3 pièces 63m²

    Nantes Est - 44300
    225 354 €  
    À Nantes, Dans une résidence sécurisée disposant de plusieurs cages d'escaliers et d'un espace boisé, appartement distribué en étoile disposant...
    Proposé par POULPIQUET IMMOBILIER
  • Voir le bien

    Appartement 3 pièces 60m²

    Nantes Est - 44300
    247 925 €  
    NANTES - T3 lumineux en parfait état. En coeur d'ilot, au calme, appartement de 60.46 m2 situé en dernier étage d'une copropriété des années 70...
    Proposé par POULPIQUET IMMOBILIER
  • Voir le bien

    Appartement 3 pièces 70m²

    Nantes Est - 44300
    263 750 €  
    Bel appartement T3 de 70m2 traversant EST/OUEST au calme, situé au sein d'une copropriété de 1996 bien entretenue et ravalée en 2020. Il se...
    Proposé par POULPIQUET IMMOBILIER
  • Voir le bien

    Appartement 4 pièces 80m²

    Nantes Est - 44300
    320 860 €  
    Au coeur de l'éco quartier de la route de Sainte Luce, au sein d'une copropriété horizontale, appartement en duplex de 3 chambres fonctionnant...
    Proposé par POULPIQUET IMMOBILIER
  • Voir le bien

    Appartement 4 pièces 99m²

    Nantes Ouest - 44100
    304 500 €  
    CONTRIE - Les Hauts de Procé, Au calme, dans une copropriété agréable, T4 traversant et ensoleillé comprenant : entrée avec vestiaire, séjour...
    Proposé par CISN SERVICES
  • Voir le bien

    Parking

    Nantes Centre - 44000
    42 800 €  
    Garage sécurisé situé au 14 rue du Maréchal Joffre à Nantes. Vendu loué. Bail 1 an renouvelable
    Proposé par POULPIQUET IMMOBILIER GESTION
  • Voir le bien

    Terrain 438m²

    Brains - 44830
    148 232 €  
    SOUS COMPROMIS BOURG DE BRAINS ! -NOUVEAU EXCLUSIVITE- L'agence VIMMO vous propose ce terrain à bâtir libre de constructeur dans un quartier...
    Proposé par AGENCE VIMMO
  • Voir le bien

    Appartement 3 pièces 52m²

    Nantes Centre - 44000
    243 800 €  
    A proximité de la cité des congrès, dans le quartier dynamique des Olivettes, découvrez ce charmant T3 au deuxième étage d'une petite copropriété....
    Proposé par YAOUANC IMMOBILIER
  • Voir le bien

    Maison 3 pièces 65m²

    Vertou - 44120
    244 400 €  
    - EXCLUSIVITE VIMMO - SOUS COMPROMIS DE VENTE Environnement calme en PLEIN BOURG de BEAUTOUR sans aucun vis-à-vis - Emplacement de qualité proche...
    Proposé par AGENCE VIMMO
  • Voir le bien

    Appartement 3 pièces 72m²

    Nantes Ouest - 44100
    341 250 €  
    CANCLAUX - Appartement dans ancienne copropriété, comprenant une grande pièce de vie de 42 m², deux chambres, une salle d'eau et WC. Idéalement...
    Proposé par POULPIQUET IMMOBILIER GESTION
  • Voir le bien

    Maison 3 pièces 65m²

    Nantes Ouest - 44100
    346 500 €  
    Faîtes l'achat de cette maison s'accompagnant de 2 chambres et d'une terrasse extérieure à Nantes. L'espace intérieur est composé de 2 chambres...
    Proposé par POULPIQUET IMMOBILIER GESTION
  • Voir le bien

    Maison 5 pièces 151m²

    Grandchamps Des Fontaines - 44119
    355 000 €  
    CHARME ET CARACTERE maison de ville aux prestations soignées située en plein centre de GRANDCHAMP DES FONTAINES. Au rdc, vaste hall d'entrée avec...
    Proposé par PERION IMMOBILIER
  • Voir le bien

    Appartement 3 pièces

    Pornichet - 44380
    366 000 €  
    PROGRAMME NEUF PORNICHET - Les appartements de 2 et 3 pièces sont tous prolongés d'un balcon habillé de bois ou d'un jardin avec une orientation...
    Proposé par VOTRE IMMOBILIER PORNICAIS
  • Voir le bien

    Maison 4 pièces 123m²

    Nantes Est - 44300
    378 000 €  
    Nantes - Porte de Carquefou au calme dans une impasse, maison nantaise de 1968 en très bon état d'entretien sur une grande parcelle arborée de 641...
    Proposé par POULPIQUET IMMOBILIER GESTION
  • «
  • 1
  • 849
  • 850
  • 851
  • 852
  • 853
  • »

Les derniers
biens rentrés

  • Vente
    Maison 78m²
    49650 allonnes
    89 000 €
  • Vente
    Maison 69m²
    37190 villaines les rochers
    175 000 €
  • Vente
    Maison 68m²
    49350 le thoureil
    125 000 €
  • Vente
    Maison 117m²
    49390 la breille les pins
    168 000 €
FNAIM

FNAIM Loire Atlantique 3 bis rue Lorette de la Refoulais - 44000 NANTES 02.51.84.22.77 contact@fnaim44.fr

FNAIM 44 © 2025 | Tous droits réservés |

  • Plan du site
  • Mentions légales
  • Partenaires
  • Admin
  • Contact
Réalisé par

Comme beaucoup, notre site utilise les cookies

On aimerait vous accompagner pendant votre visite. En poursuivant, vous acceptez l'utilisation des cookies par ce site, afin de vous proposer des contenus adaptés et réaliser des statistiques !

Paramétrer

Cookies fonctionnelsCes cookies sont indispensables à la navigation sur le site, pour vous garantir un fonctionnement optimal. Ils ne peuvent donc pas être désactivés.

Statistiques de visitesPour améliorer votre expérience, on a besoin de savoir ce qui vous intéresse !
Les données récoltées sont anonymisées.

?

Google Analytics

Annonces personnaliséesOn garde le contact ? Ces cookies nous permettent de vous proposer des contenus publicitaires adaptés à vos centres d'intérêts.

?

Google Ads

?

Facebook Pixel

?

Youtube

En savoir plus

Nous utilisons des cookies pour nous permettre de mieux comprendre comment le site est utilisé. En continuant à utiliser ce site, vous acceptez notre politique de confidentialité. En savoir plus